Loteamento moradias, para venda, Sintra - Almargem do Bispo
Sintra, Almargem do bispo, pêro pinheiro e montelavar
Publicado às 17:05h, 28 Janeiro 2026
Anúncio: 26044062519
Referência anunciante: LHL1944
330.000€
330.000€
Enviar email
Estado
Usado
Área útil
1823 m²
Descrição
Venda dum terreno com um projeto teórico de construção de um condomínio com quatro moradias em banda a constituir em propriedade horizontal e equipamentos coletivos comuns, piscina, espaços verdes e espaços para estacionamentos, deve ser considerado apenas um cenário e de caracter não vinculativo e sem consulta à Câmara Municipal de Sintra.
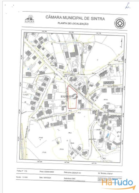
Terreno situado no centro do Sabugo em frente à farmácia do Sabugo. A zona é bem servida ao nível da acessibilidade, com bons acessos rodoviários para Lisboa, para o Norte ou Sul do País (pela A16 ou pelo IC19), ou pela EN9 que liga Sinta a Mafra, cujos acessos distam a poucos km.
Ao nível de mobilidade interna, a zona é servida por transportes públicos (autocarros) que asseguram uma fácil deslocação interna como externa.
A oferta de serviços e comércio é reduzida na zona do imóvel, resultado de ser uma zona periurbana, tem ainda assim vantagem de distar a poucos Km de Pero Pinheiro, onde existe já um comércio bastante relevante, em alternativa das zonas mais comerciais das freguesias vizinhas de Algueirão-Mem-Martins e Rinchoa-Rio de Mouro, que dispõem de todos os tipos de comércio e serviços, nomeadamente hipermercados, supermercados, centro comercial, cinemas, farmácias, centros médicos, restaurantes, cafés, etc..
Outros anúncios relacionados que poderão ser do seu interesse!
Terreno 89 000 m2 p/ Saúde, Serviços, Indústria. Portugal, Sintra, Cascais, Lisboa.
Lisboa
6.600.000€
Terreno c/Projeto para Moradia ? Vista Castelo dos Mouros e Palácio da Pena - para Venda em Sintra
Lisboa
300.000€
Terreno à Venda com Vista Mar em Fontanelas ? Freguesia de São João das Lampas, Sintra
Lisboa
260.000€
Terreno urbano com 1.327 m² para construção de um moradia unifamiliar | Varzea Sintra
Lisboa
550.000€
Terreno urbano com 1.401 m² para construção de um moradia unifamiliar | Varzea Sintra
Lisboa
590.000€
Terreno urbano com 1.106m² para construção de um moradia unifamiliar | Varzea Sintra
Lisboa
495.000€
Terreno urbano com 1.101m² para construção de um moradia unifamiliar | Varzea Sintra
Lisboa
495.000€
Lote de terreno destinado a construção de escritórios e comércio, situado em Belas, Sintra
Lisboa
[adlist.onrequest]
Terrenos Rústicos com um total de 20.933m² destinado a cultura arvense, pastagem e vinha
Lisboa
[adlist.onrequest]




















