Terreno Canelas com projeto para a construção de Moradia 3 frentes
Vila Nova de Gaia, Canelas
Publicado às 15:03h, 21 Maio 2022
Anúncio: 26033289020
Referência anunciante: 801221033
55.000€
55.000€
Enviar email
Estado
Novo
Área útil
67 m²
Descrição
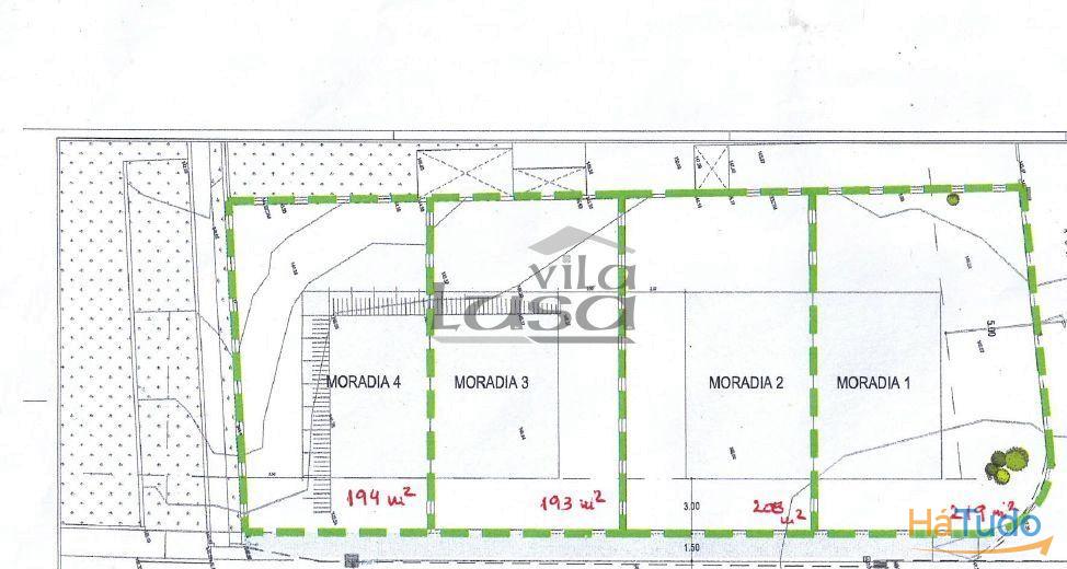
Em busca de um terreno com projeto para a construção da casa dos seus sonhos? Temos disponível para venda um terreno em Canelas, com projeto aprovado para a construção de uma magnífica moradia
O terreno está localizado próximo das principais vias, proporcionando fáceis acessos a diferentes áreas da região.
O projeto da moradia T3 contempla uma área de construção de 180 m², ideal para acomodar uma família com conforto e espaços amplos.
A sala de estar terá generosos 44 m², proporcionando um ambiente amplo e acolhedor para receber familiares e amigos.
Além disso, o projeto também prevê a existência de um salão adicional, que pode ser utilizado conforme as suas necessidades e preferências.
A moradia contará com uma lavandaria, garantindo funcionalismo e facilidade na realização das tarefas domésticas.
Serão disponibilizados 3 wcs na casa, proporcionando conforto e comodidade para toda a família.
A garagem para estacionar os seus veículos.
A localização do terreno permite desfrutar de um ambiente tranquilo e agradável, proporcionando qualidade de vida para os futuros moradores.
Aproveite esta oportunidade para adquirir um terreno com projeto aprovado, evitando a burocracia e os processos de licenciamento. Aqui, você poderá construir a casa dos seus sonhos, com base num projeto bem elaborado.
Entre em contacto connosco agora mesmo para obter mais informações sobre este terreno em Canelas com projeto para a construção da moradia de cave + R/C + 1.
Estamos à disposição para fornecer todos os detalhes e agendar uma visita ao local. Não perca essa oportunidade de construir a casa perfeita para a sua família!
Info Adicional
Estado do Imóvel: Em obras
Orientação: Sul
Estacionamentos: Garagem fechada, no interior do edifício
Outros anúncios relacionados que poderão ser do seu interesse!
Terreno com 1.450 m2 na zona industrial de Serzedo, Vila Nova de Gaia para a construção de Armazém
Porto
43.650€
Terreno com 2.200 m2 para construção de uma moradia de 4 frentes em Perosinho e Seixezelo
Porto
100.000€
Terreno Plano de 14.000 m2 com Pip aprovado para condomínio de 8 moradias em banda Serzedo
Porto
255.000€
Terreno com 2.319,70 m2 no centro dos Carvalhos para a construção de moradia de 4 Frentes
Porto
135.000€
Duas Parcelas de Terreno com 4.627,30 m2 no centro dos Carvalhos para a construção de moradias de 4 Frentes
Porto
215.000€
Terreno com 12.317 m2 no centro dos Carvalhos para a construção de 13 moradias Térreas de 4 Frentes
Porto
650.000€
Terreno com 1.498 m2 Zona Industrial de canelas para a construção de Armazém com 1.232,40 m2
Porto
230.000€
Terreno com 4000 m2 em Serzedo Vila Nova de Gaia, com possibilidade de const de moradia 4
Porto
350.000€




